Optimized Paving Plan & Profile Design for 120-Acre Residential Development

Optimized Paving Plan & Profile Design for 120-Acre Residential Development

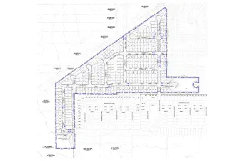
Introduction

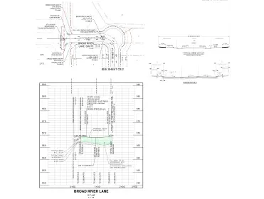
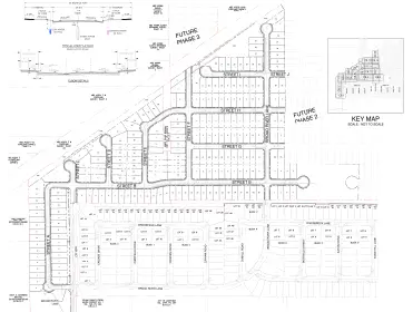
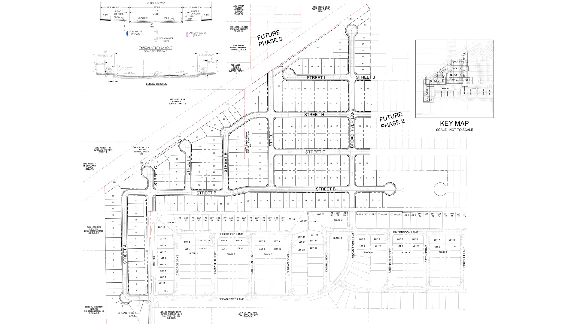
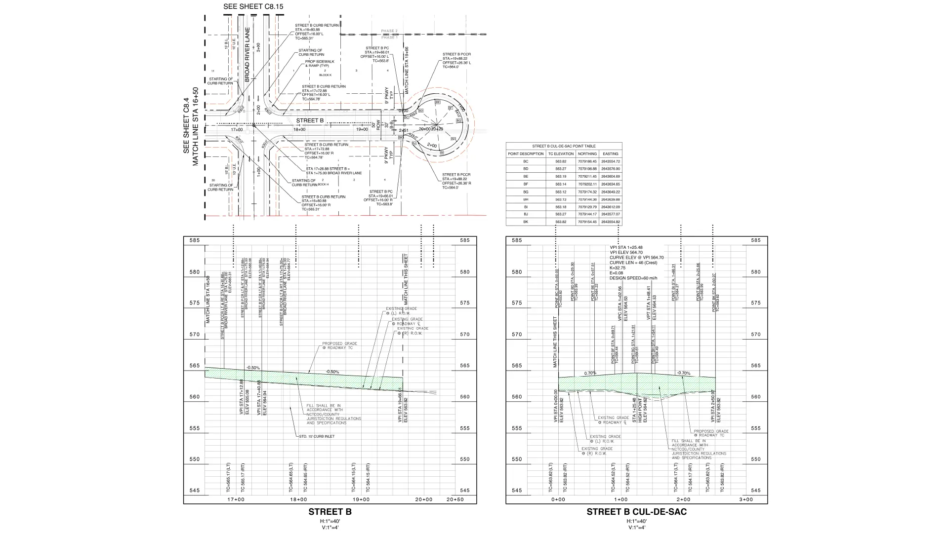
Paving plan and profile design are important components of land development that ensure safe, efficient, and durable road infrastructure. This project designs a paving system for large-scale mixed-use development. The goal was to create a well-structured road network that integrates seamlessly with site grading, drainage systems, and utility layouts while meeting regulatory standards and ensuring long-term performance.

Key Challenges

  1. Complex Topography

    Variations in elevation need proper alignment of road profiles. Maintaining a smooth transition between slopes was critical.

  2. Drainage Coordination

    Ensuring proper runoff without water stagnation on a paved surface. Aligning paving slopes with the Stormwater drainage system.

  3. Traffic flow optimization

    Designing road width, turning radius, and intersection for mixed-use traffic. Also accommodating pedestrian pathways and parking zones.

  4. Material Selection Constraints

    Choosing durable materials suitable for varying load conditions. Balancing cost efficiency with long-term maintenance.

  5. Regulatory Compliance

    Adhering to local municipal standards and safety guidelines. Ensuring accessibility and safety features like ramps and markings.

Approaches and Solutions

  1. Integrated Design Coordination

    Collaborated with grading and drainage teams and ensured seamless alignment between paving profiles and site contours.

  2. Optimized Road Geometry

    Designed efficient horizontal and vertical alignments. Maintain safe gradients and smooth elevation transitions.

  3. Advanced Drainage Planning

    Incorporated cross slopes and longitudinal slopes for effective runoff. Strategically placed catch basins and drainage inlets.

  4. Material and Layer Design

    Select appropriate pavement sections based on traffic loads. Define base, sub-base, and surface layers for durability.

  5. Use of CAD and BIM Tools

    Leveraged advanced drafting and modeling tools for accuracy and enabled clash detection with utilities and other infrastructure elements.

  6. Compliance Assurance

    Incorporated all local codes and standards into design and included safety features like markings, signage, and pedestrian paths.

Final Outcome

  • Delivered highly coordinated and construction-ready paving plans.

  • Improved traffic circulation and safety across the development.

  • Achieved efficient water drainage, minimizing future maintenance issues.

  • Ensured cost-effective and durable pavement design.

  • Reduced construction delays through clear and accurate documentation.

Client Overview

Reduced construction delays through clear and accurate documentation.
The client is looking for a reliable partner who can deliver technically sound paving plans that align with overall site development goals and ensure both functionality and long-term value.

Design Roads That Perform Long-Term

Ensure tailored solutions to deliver smooth execution from design to construction

Senior Accounts Manager

Nabil Shaikh is the Senior Accounts Manager at Gsource Technologies, overseeing key departments including land surveying, civil engineering, and signage design. With a strong understanding of multidisciplinary workflows, Nabil ensures seamless coordination between teams and clients, driving projects toward successful outcomes. Known for his detail-oriented approach and commitment to delivery, Nabil plays a crucial role in strengthening client relationships and ensuring consistent project performance.

(Enter captcha image text in box)

USA (Corporate Address)

UAE

Pune

Mumbai