Mortgage Survey Drafting Services

Mortgage survey drafting for seamless real estate transactions and development planning.

Mortgage Survey Drafting is essential for ensuring accurate property documentation, helping you avoid potential disputes and facilitate smooth transactions. By providing precise and reliable information about land boundaries, building locations, easements & natural landmarks, our services are crucial for securing your legal ownership and understanding your property’s limits.

At Gsource, we are dedicated to supporting you with accurate drafts and designs tailored to your land, mortgage or property needs. Our expert team specializes in outlining property boundaries, right-of-way, easements, topographical features & building dimensions. We deliver these comprehensive drafts in your preferred CAD file format or any other specified format, ensuring that you have the accurate information needed for successful property management and transactions. Let us assist you in navigating your property surveying requirements with confidence.

Write to Us
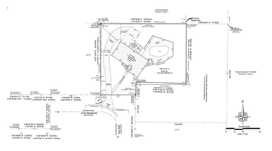
Mortgage Survey Services

Mortgage Survey Drafting Deliverables

Mortgage Survey Deliverables

Property Boundaries

Right of Way

Easements

Topographical Features

Zoning Compliances

Property Improvements

Why Outsource Mortgage Survey Drafting Services?

Mortgage Survey Drafting can become a difficult task at times and also requires detailed and expert accompaniment. Outsourcing these services can benefit you in certain ways

Saves you your time and money through your Boundary & Topo Drafting Services

Saves you your time and money

Access a dedicated team of professionals at Gsource Technologies for expert project execution.

Gives you access to experts

Maintain compliance with regulatory standards through Gsource Technologies’ expert design services

Keep your designs complied with codes and regulations

Gain access to innovative technologies and tools that drive project success

Get access to advanced technologies and tools

Here, at Gsource, we have skilled professionals and experts who provide our clients with precise and accurate designs and drafts for their mortgages and properties. We have advanced tools for drafting including AutoCAD and more to get you apt results that also comply with codes and regulations.

Our Expertise in different Domains

Real Estate Development

Residential, commercial & industrial properties.

Construction

Infrastructure projects such as roads, bridges & buildings.

Environmental

Wetland delineation, floodplain mapping & conservation projects.

Utilities

Power lines, pipelines & water supply networks.

Government

Municipal planning, public works & transportation departments.

How It Works

Your Project is Ready in 5 Easy Steps

01

Mortgage Survey Drafting Services Step1-Initial Consultation

Step 1

Initial Planning

Before we start our drafting, we plan and collect information like current building details, survey files, monuments or improvements on land & others from our clients.

Initial Planning

Before we start our drafting, we plan and collect information like current building details, survey files, monuments or improvements on land & others from our clients.

02

Mortgage Survey Drafting Services Step2-Drafting

Step 2

Drafting

After we have all required documents, our team of experts begins to draft their surveyed land with linework drafting and other processes.

Drafting

After we have all required documents, our team of experts begins to draft their surveyed land with linework drafting and other processes.

03

Mortgage Survey Drafting Services Step3-Quality Check

Step 3

Quality Check

Once these files are created, our team of quality checkers makes sure every file is made according to codes and regulations of that county or area.

Quality Check

Once these files are created, our team of quality checkers makes sure every file is made according to codes and regulations of that county or area.

04

Mortgage Survey Drafting Services Step4-Client Review

Step 4

Client Review

After we have our files ready, we send them to our clients for their review and feedback and make changes if there are any.

Client Review

After we have our files ready, we send them to our clients for their review and feedback and make changes if there are any.

05

Boundary & Topo Drafting Services Step6-Final Deliverables

Step 5

Final Deliverable

Finally, after making the necessary changes, we deliver our final CAD drafts and files to our client in their required file format.

Final Deliverable

Finally, after making the necessary changes, we deliver our final CAD drafts and files to our client in their required file format.

Why choose Us?

Why choose Gsource technologies-Renowned Standing

Renowned Standing

Due to the skills we uphold, both large and small roll-out firms want to benefit from our knowledge and expertise.

Renowned Standing

Due to the skills we uphold, both large and small roll-out firms want to benefit from our knowledge and expertise.

Why choose Gsource technologies-Modern Tech Solutions

Modern Tech Solutions

We use high-tech solutions to understand design and construction requirements for Mortgage Survey Drafting Services.

Modern Tech Solutions

We use high-tech solutions to understand design and construction requirements for Mortgage Survey Drafting Services.

Why choose Gsource technologies-Quick Turnaround Time

Proficient R&D Team

We have an R&D team that can handle vast data collection, which can feel like a task for other companies.

Proficient R&D Team

We have an R&D team that can handle vast data collection, which can feel like a task for other companies.

Why choose Gsource technologies-High Competent Staff

Quick Turnaround Time

Timely actions and efficient outputs minimize delays, maximize productivity & ensure prompt mortgage survey drafting services for our clients.

Quick Turnaround Time

Timely actions and efficient outputs minimize delays, maximize productivity & ensure prompt mortgage survey drafting services for our clients.

Why choose Gsource technologies-Close to the Mark Output

Close to the Mark Output

The data used by us for creating topographic maps, volume calculation & distance measurements provides results to the point.

Close to the Mark Output

The data used by us for creating topographic maps, volume calculation & distance measurements provides results to the point.

Why choose Gsource technologies-High Competent Staff

High Competent Staff

The experience that our team holds is what sets us apart. With training programs, our team of 300 members can deliver top-tier results laid over a 30,000-square-foot Class A Office space.

High Competent Staff

The experience that our team holds is what sets us apart. With training programs, our team of 300 members can deliver top-tier results laid over a 30,000-square-foot Class A Office space.

Why choose Gsource technologies-Affiliation with Reputable Entities

Affiliation with Reputable Entities

We are active members of national and international surveying, architectural, engineering & geospatial organizations.

Affiliation with Reputable Entities

We are active members of national and international surveying, architectural, engineering & geospatial organizations.

Why choose Gsource technologies-Advancing the field of Mortgage Survey Drafting services

Advancing the field of Mortgage Survey Drafting services

As a service provider, we’ve supported and served companies across the US. Our dedication produces excellent quality that propels industry success.

Advancing the field of Mortgage Survey Drafting services

As a service provider, we’ve supported and served companies across the US. Our dedication produces excellent quality that propels industry success.

FAQs

Contact us to receive professional mortgage survey drafting services tailored to your property purchase, including detailed site plans & boundary maps.

Our mortgage survey drafting packages include accurate property boundary surveys, detailed site plans, legal descriptions & compliance with lender requirements. We also have Easements, Topographical Features, Zoning Compliances, Property Improvements & more such drafting services in our package.

Request a quote for mortgage survey drafting services by providing your property details & requirements through our website or by contacting us directly.

Yes, we offer mortgage survey drafting services for both residential & commercial properties, ensuring precision and adherence to lender specifications.

Yes, we offer digital mortgage survey drafting services, providing you with electronic copies of site plans and surveys for easy submission to mortgage lenders.

(Enter captcha image text in box)

Talk to us

At Gsource Technologies, we’re ready to help! Tell us what you need, and we’ll connect you with the right experts.

gsource service

Free Initial Consultation - No Commitment Required

gsource service

Secure and Confidential Project Information

gsource service

16+ Years of AEC Expertise

gsource service

300+ Drawing Deliverables Daily

gsource service

Industry Standards Compliance Guaranteed

Upload a File (Optional)

File(s) size limit is 20MB.

Got a bigger file? Just drop a shareable link in the description instead.

USA (Corporate Address)

UAE

Pune

Mumbai